Page 17 - Le Corsaire
P. 17

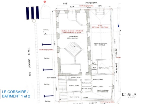
1  ETAGE
                                                                  er


   LE CORSAIRE /
   BATIMENT 1 et 2
   12   13   14   15   16   17   18   19   20   21   22